13:17 29.04.2013 | Все новости раздела "Яблоко"
Лев Шлосберг: "Шталаг-372", Псков. Узники совести
// Блог Льва Шлосберга в Живом Журнале,29.04.2013
Рвы в памяти
Для увековечения памяти погибших в «Шталаге-372» упорно не делается ничего – очевидно, в надежде на полное их забвение
11 апреля мир отметил День освобождения узников фашистских концлагерей. В Пскове по этому поводу прошло торжественное заседание с участием чудом выживших. Но никто из официальных лиц не появился в трагических местах самой памяти – на псковских братских захоронениях погибших в концлагерях – как отмеченных знаками памяти, так и заброшенных. Самое трагическое, до сих пор не устроенное, место в Пскове – место бывшего «Шталага-372» и «Дулага-376», около улицы Юбилейной. Узники помнят о нём. Написано про это место много. Но написанное не привело ни к чему, кроме временной приостановки строительства многоэтажных домов на костях тысяч советских военнопленных. «Главное – достроить дом», – таков оказался девиз чиновников и предпринимателей, но – самое страшное – и многих жильцов, как уже вселившихся в «квартиры повышенной комфортности», так и вложивших в них свои деньги [ 1 ]. Напоминание обществу о трагедии десятков тысяч сограждан остается делом единиц – немногочисленных родственников, нашедших своих родных в списках «Шталага», и псковских добровольцев, попытавшихся – отчаянно и безуспешно – провести раскопки, доказать очевидное и остановить глумление над останками павших [ 2].

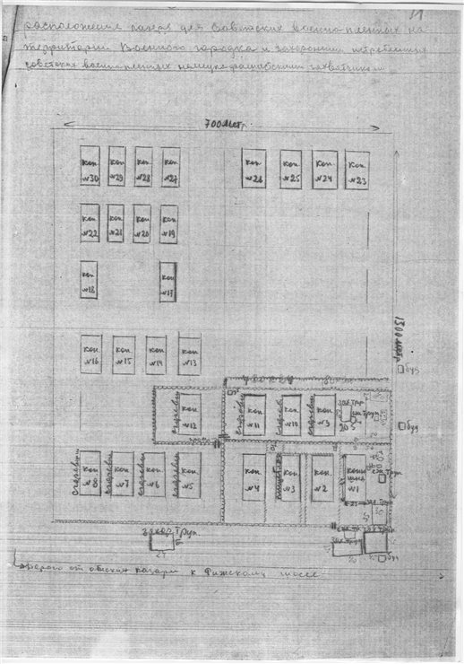
Захоронения советских военнопленных на территории «Шталаг-372» по улице Юбилейная в Пскове. Схема «Шталага-372», изготовленная в процессе работы Чрезвычайной государственной комиссии по расследованию злодеяний и преступлений немецко-фашистских захватчиков в Псковской области. 1945. ГАПО. Ф. Р-903. Оп. 3. Д. 12. Л. 71.
Фрагмент немецкого аэрофотоснимка Пскова, сделанный 22 августа 1943 года в 10.20 (время берлинское). Территория лагеря «Шталаг-372» и прилегающая территория военного городка. Публикуется впервые. Из личного архива Андрея Иванова.
Привязка аэрофотоснимка 1943 года к сегодняшней местности (наложен на современный спутниковый снимок территории). Произведена с помощью Google Maps Александрой Богдановой (г. Псков). Пятна красной заливки – места массовых захоронений. Публикуется впервые.
Привязка аэрофотоснимка 1943 года к сегодняшней местности (наложен на современный спутниковый снимок территории). Произведена с помощью Google Maps Александрой Богдановой (г. Псков). Номерами обозначены конюшни №№ 1-12. Заштрихованы контуры наиболее интенсивно эксплуатируемых конюшен – бараков «Шталага-372». Пятна белой заливки – места массовых захоронений. Публикуется впервые.
Псков в период оккупации. Унтер-офицер Люфтваффе на конной повозке. На заднем плане – храм Александра Невского. Фото предположительно 1941-1942 гг. Из коллекции Михаила Туха (г. Псков). Публикуется впервые.
Псков в период оккупации. Унтер-офицер Люфтваффе (то же лицо) около здания казармы военного городка. Фото предположительно 1941-1942 гг. Из коллекции Михаила Туха (г. Псков). Сохранилось до настоящего времени. Используется по прежнему назначению. Публикуется впервые.
Псков в период оккупации. Обер-ефрейтор Люфтваффе около жилого здания в районе храма Александра Невского. Фото предположительно 1941-1942 гг. Из коллекции Михаила Туха (г. Псков). Сохранилось до настоящего времени. Публикуется впервые.
Письма немецкого солдата Люфтваффе, охранявшего «Шталаг-372». Из личного архива Андрея Иванова. Публикуется впервые.
Так в 2010 году выглядела вырытая экскаватором траншея, разрезавшая траншею с захоронениями военнопленных. На фото чётко видно, что захоронения уходят под дом № 36. Фото: Алексей Старков.
Останки советских военнопленных на территории застройки ул. Юбилейной. 2010 год. Фото: Андрей Иванов. Публикуется впервые.
Место захоронения в наши дни. Приямок с козырьком, под который уходит траншея с останками. Фото: Алексей Старков.
Последний не дорисованный чертёж траншеи № 7 в самом начале разборки. Чертёж: Алексей Старков.
Полевой, не перебеленный чертёж захоронений напротив центральной части фасада дома № 36 по ул. Юбилейной. Здесь хоронили в небольших ямах по 2-15 человек в каждой. Всё, что на плане, выбрано полностью, задокументировано, разобрано по индивидам и захоронено на мемориале в Песках осенью 2010 года. Чертёж: Алексей Старков.
До настоящего времени в практически неизменном виде сохранились восемь конюшен, которые сейчас используются в качестве складов 76-й дивизии, расположенных по улице генерала Маргелова. Фото: Андрей Иванов
Квартал улиц Юбилейной, генерала Маргелова и Шестака. На этом месте располагаются могильные ямы, в которых погребены советские военнопленные. Фото: Андрей Иванов
Квартал улиц Юбилейной, генерала Маргелова и Шестака. На этом месте располагаются могильные ямы, в которых погребены советские военнопленные. Фото: Андрей Иванов
Обсудить новость на Форуме
16 декабря 2025
| « | Декабрь 2025 |
| Пн | Вт | Ср | Чт | Пт | Сб | Вс |
| 1 | 2 | 3 | 4 | 5 | 6 | 7 |
| 8 | 9 | 10 | 11 | 12 | 13 | 14 |
| 15 | 16 | 17 | 18 | 19 | 20 | 21 |
| 22 | 23 | 24 | 25 | 26 | 27 | 28 |
| 29 | 30 | 31 |